6 миллионов подписчиков
607 тысяч видео
Swirling federal investigations test NYC mayor’s ability to govern
Former Virginia candidate Susanna Gibson unbowed after disclosure of sex videos with husband
Report: Billionaire George Soros cedes control of empire to son
Greek police use tear gas to disperse thousands of pro-Palestinian protesters in Athens
Saudi-backed troops battle Houthi fighters as Yemen's stalemated war rages on
Will floating farms grow as world warms?
Sir Paul McCartney gives out his tips on songwriting at community chat event
Israeli security forces use tear gas to disperse crowd of Palestinians gathered near Ofer prison
Mayor Nagin: 'We heard lots of pain today'
Chechnya - Fighting Intensifies
Yemenis suffer with war, hardship of life in Taiz
USA - Clinton on death of Deng Xiaoping
Biden's pick to be ambassador to Israel tells senators he'll ensure the US ally 'has what it needs'
MONTENEGRO: YUGOSLAV ARMY CHECKPOINT FOOTAGE
Head of militant group says it would "wage war" with India over Kashmir
At CES, LG unveils ‘world’s first’ wireless transparent OLED TV
Archive of Orthodox Church leaders meeting before schism
Nation clears up after weekend cyclone
Bangladeshi PM Sheikh Hasina resigns after weeks of deadly protests
NASA images from the Red Planet
WEST BANK: BARGHOUTI CONDEMNS ISRAELI ATTACK
Scuffles as prominent Palestinian leader appears in court
Tunisian - Jewish lawyer to represent Marwan Barghouti
Fatah comments on Israel's list of wanted Palestinians.
Paddy Considine said he "embraced Targaryen realness" with his blonde hair in "House of the Dragon,"
RUSSIA: TSAR NICHOLAS II CANONISED
Israeli court rules it has jurisdiction over Marwan Barghouti
Barghouti makes closing argument in murder trial
Demonstration following attack on prominent Palestinian.
Second day of protests in West Bank over killing of top Hamas official Saleh Arouri in Lebanon
Hurricane-damaged Louisiana skyscraper is imploded
Trial of uprising leader Marwan Barghouti begins
Demonstration by supporters of jailed Palestinian activist Marwan Barghouti
Senior Fatah leader Marwan Barghouti appears in court
First day of trial of Marwan Barghouti
Former Azerbaijani residents return to Aghdam homes
WRAP Marwan Barghouti in court accused of orchestrating anti-Israeli attacks
Germany - Head of Deutsche Bank resigns
Protestas en varios países contra bombardeos israelíes
Blinken met by Palestinian PM on arrival in WBank
Smoke plumes on Gaza skyline, as Hamas rockets threaten Israel's unilateral truce
UPITN 19 9 74 Turkish Prime Minister Ecevit resigns
SYND 1 1 76 RHODESIAN LEADERS ATTEND A FUNERAL OF ARMY CHIEF OF STAFF IN SALISBURY (HARARE)
The traditional art of Kyoto doll-making
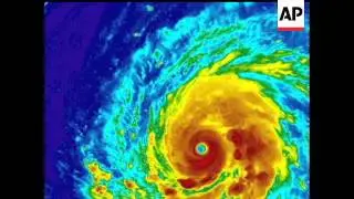
Hurricane Julia has formed far out over the Atlantic, becoming the 5th hurricane of the season. Mean
UK businesses want stability amid political turmoil
Simon Wiesenthal Center welcomes Polish law move
Tajikistan - Clashes between troops and rebels